

















- 賃料
- 6万円
- 種別
- アパート
- 間取
- 1LDK
- 共益費・管理費
- 3,000円
-
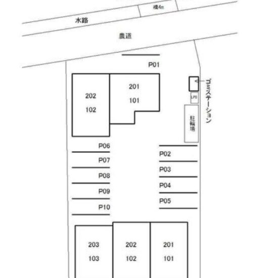
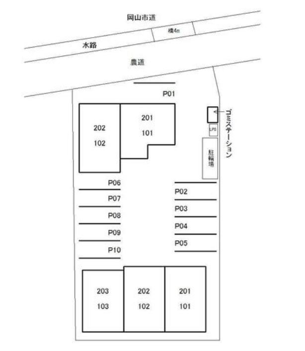
- 所在地
- 岡山県岡山市南区妹尾40-1
- 交通
- JR宇野線 妹尾駅 徒歩10分
物件詳細
| 築年月 | 2018/10 | 新築/中古 | |
|---|---|---|---|
| 面積 | 42.75m² | 計測方式 | 壁芯 |
| バルコニー | 向き | 南 | |
| 建物階数 | 地上2階 | 部屋階数 | 2階 |
| 建物構造 | 木造 | ||
| 間取内容 | |||
| 駐車場 | 無 | 取引態様 | 仲介 |
| 引渡/入居時期 | 期日指定 2026/04 上旬 | 現況 | 賃貸中 |
| 周辺環境 | |||
| 設備・条件 | バス・トイレ別 水道:公営, ガス:プロパン, 排水:下水, バス:専用, トイレ:専用, バス・トイレ別, シャワー, コンロ:ガス, コンロの口数:3口, システムキッチン, 給湯, 追い焚き, 洗髪洗面化粧台, 冷暖房:エアコン, 洗濯機置場:室内, バルコニー, フローリング, インターネット:光, 角部屋, TVドアホン, 温水洗浄便座, 独立洗面, インターネット使用料不要, 初期費用クレジット決済可, シューズボックス:有り, カウンターキッチン |
||
| 物件番号 | 77499 | 掲載期限日 | 2026/04/15 |
Loading...
※物件掲載内容と現況に相違がある場合は現況を優先と致します。
お問い合わせはこちらからお寄せください
お電話からのご予約・お問い合わせ
TEL 086‐250‐7380
営業時間 10:00~17:00
定休日 火・水曜日
WEBからのご予約・お問い合わせは、下記のフォームからお気軽にどうぞ





















